よくあるご質問
資料ダウンロード
SmartConstruction®ログイン
Komtraxログイン
拠点検索
商品情報
商品から探す
建設機械
フォークリフト
特別仕様車
アタッチメント
部品・用品
作業内容から探す
土木
ICT
鉱山採石
解体
産廃リサイクル
金属リサイクル
林業製材
除雪
物流・港湾
農畜産・水産
建設材料・資材
レンタルから探す
ICT建機
解体専用機
ミニショベル
油圧ショベル
ブルドーザー
ホイールローダー
クローラダンプ
環境リサイクル機械
道路機械
アタッチメント
発電機器・コンプレッサ
小型機械
中古車を探す
コマツの中古車
中古車製品一覧
商品情報 TOP
建設機械
フォークリフト
特別仕様車
アタッチメント
部品・用品
旧商品カタログ
レンタル
コマツの中古車
お客さまの声
購入・レンタルをお考えの方
ICTソリューション
ICTソリューション TOP
スマートコンストラクション®とは?
スマートコンストラクション導入事例
活用方法
ICT建機ラインナップ
サポート体制
コマツIoTセンター
ウェビナー参加お申込み
サービス・サポート
サービス・サポート TOP
サービス体制
Komatsu Care Plus / コマツオールサポート(建設機械)
Komtrax
Komatsu Care Long
Operation assist
RUPサービス
コマテック / 安全講習 情報
安全データシート(SDS)
特集
特集 TOP
季刊誌 「大地」
経営戦略情報
企業情報・採用
企業情報・採用 TOP
採用
国内代理店体制
環境方針
ニュース
Social Media
YouTube
Facebook
よくあるご質問
資料ダウンロード
SmartConstruction®ログイン
Komtraxログイン
サービス拠点検索
お問い合わせ
福島県 東北・福田組特定建設工事共同企業体 様
#916 現場の3次元化で管理者もオペレーターも心にゆとりができた!
■■ 現場詳細 ■■福島県南相馬市
津波被災地の復興を支える道路を整備する工事
【施工範囲】延長577.4m
【ソリューション】Smart Construction Dashboard/転圧管理システム
【稼働建機】PC200i/D61PXi
(掲載月:2024年3月)
時代はICT!スマートな施工の実現へ
■■導入経緯■■
東北・福田組特定建設工事共同企業体 現場代理人 野中裕一さん
今回の現場は、受注者希望型の工事で今の時代ICTが当たり前となっていることもあり、ICT活用工事として実施することにしました。当社では初めてのICT施工でしたので、サポートが必要だと考えていたところ、コマツの担当営業が、現場の近くに支店もあり、トラブル時でもすぐに対応可能だと声をかけてくれたので心強いと思いました。また、サポートセンターもあり、電話ですぐに解決できる場合もあると聞き、スマートコンストラクション®のサポート面は大きな魅力だと感じました。コマツのICT建機と転圧管理システムで施工し、現場の進捗管理にはSmart Construction Dashboardを活用して、従来施工とICT施工ではどのくらいの管理工数に違いがあるのかも体感しようとスマートな施工の実現を目指して導入を決めました。
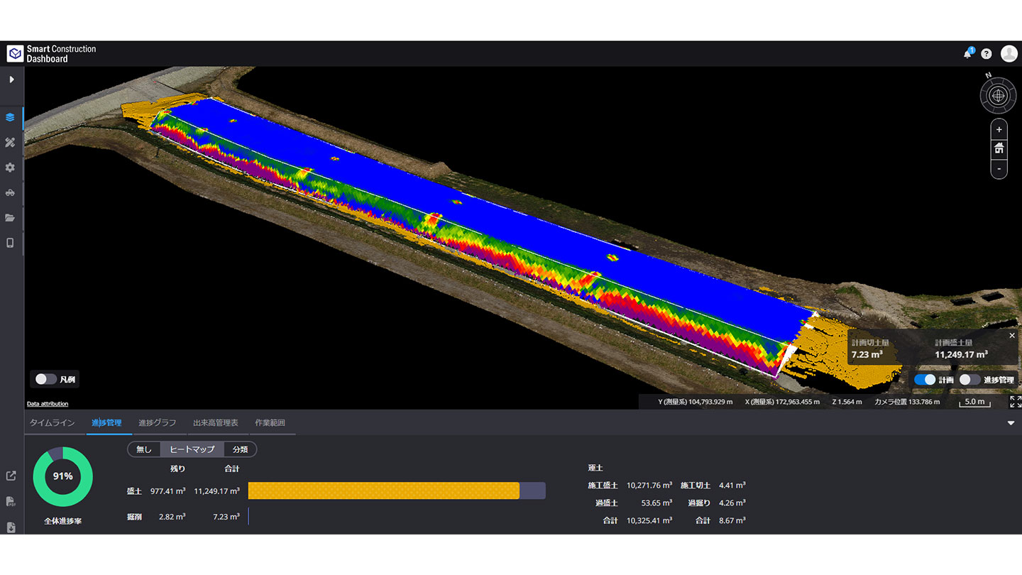
進捗が一目でわかる!管理工数が大幅省略!
■■導入効果■■
東北・福田組特定建設工事共同企業体 担当技術者 関佳太さん
従来施工では、横断観測を実施して残りの土量を算出していましたが、Smart Construction Dashboardで残数量が確認できるので月次の出来高計算も楽に算出することができました。また、転圧管理システムの帳票表示も連携されており、何層目のどこまで施工が進んでいるのか一目で確認できました。また、ICT建機のモニター画面上で設計が見えるので、オペレーターへ必要最低限の説明のみで済み、管理者もオペレーターも心にゆとりをもって施工することができました。
小平興業(株) オペレーター 田村威晃さん/牧島順一さん
ICT建機での施工は、乗り降りの負担がなく、丁張りを気にかける必要もないので1人作業で楽に早く進みました。不明な時はサポートセンターに電話して教えてもらいました。最初は本当に自動制御で施工ができるのか不安もありましたが、効果を実感できたので今後もICT建機で施工していきたいと思います。
東北・福田組特定建設工事共同企業体 様
東北建設(株) 様
1877年創業以来技術と実績を積み上げ、ひたむきに努力を重ねて、地域に寄り添いながら歩んでまいりました。地域の安心・安全、そして未来安寧のために、「真心」をお届け出来ますよう尽力してまいります。
(株)福田組 様
1902年創業当初から続く「誠実であること」の精神のもと「100年先も誠実」であり続けるために、お客様の満足の実現と、さらなる企業価値の向上のため、歩み続けてまいります。
東北建設(株)
土木部 部長 馬場一敏 さん
(株)福田組
現場代理人 野中裕一 さん
(株)福田組
担当技術者 関佳太 さん
小平興業(株)
オペレーター 牧島順一 さん/田村威晃 さん
ICTソリューション導入事例一覧
印刷用ファイル
お問い合わせはこちら
ICT建機単体の導入から、現場の課題抽出、全工程における導入・施工サポートまで、お客さまの現場の課題と要望に合わせて自由にご利用を開始していただけます。お気軽にお問い合わせください。
お問い合わせ
WEBセミナー開催中
建設現場における感染拡大防止対策、『3つの密』回避対策へ向けての、ウェビナーを開催いたします。
IoTセンターで最新技術を体験
「スマートコンストラクション®」をより深く理解していただくための様々な体験をご用意しています。
動画館
スマートコンストラクション®のPR動画を配信中。
メールマガジン登録
Facebook
TOP
スマートコンストラクション®
スマートコンストラクション導入事例
福島県 東北・福田組特定建設工事共同企業体 様
拠点検索
お問い合わせ